
酷暑で我が身もやられて、久しぶりの投稿になった。この夏はあり得ないくらい暑かったが、夏のあいだは、鳥も虫も活動が鈍く、蝉さえも少なかったような気がする。夏枯れで活動を諦めていた植物も、9月に入り再び枝葉を伸ばし、桜などは二度咲きもした。今は、鳥の声も響き渡り、虫も活発に活動している。

春に小さな可愛らしい花をつけていたヤブニッケイも実をつけた。鳥に運んでもらうためにこれから赤くなるのだろうか。ヤブニッケイの実を見るのは、今年が初めてだ。光があたったからなのか、十分に成長したから実をつけたのか、あるいは他に理由あるのか判断しかねる。

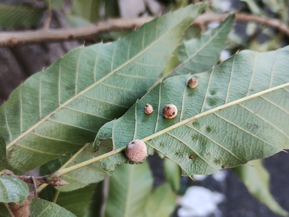
樹林の入口の一段高い植込みで実生から育ったクヌギも今年、おそらく初めて実をつけた。クヌギは、開花から実になるまで2年かかる。なので、一昨年の花が今、ドングリとして命を次世代につなごうとしている。残念ながら、この木が実を落とす場所は、ほとんどがアスファルトの上である。

実をつけるとともに早くも葉に、虫癭(ちゅうえい)ができた。生態系が豊かになったと言うべきか、タマバチがクヌギの葉に寄生して虫癭をつくり、ここから成虫が羽化する。以前近くのクヌギ大木の落葉に、たくさんの虫癭が付いていたたことを覚えている。この虫癭をクヌギハケタマフシといい、ここから出る虫をクヌギハケタマバチというのだそうだ。

樹林に隣接する畑では、協生農法もどきをはじめているが、もう少し真面目に協生農法、拡張生態系ということを考えていきたいと思っている。セイタカアワダチソウは、裸地での繁殖力旺盛で、畑の厄介者として見つけたらすぐ抜けば良いと思ってきたが、どうやらそうでもないらしい。上の写真のように花にはアブやハチがやってきて、受粉を媒介したりもしている。アブやハチが増えれば、上位の捕食者も増えていく。生態系の豊かさと人の住みやすさ、生きやすさのいい関係を作り上げたいと思っている。